La Provincia di Reggio Emilia informa che tra martedì e mercoledì prossimi inizieranno i lavori di razionalizzazione dell’incrocio tra la Sp 62R della Cisa e via Chiesa, nel centro di Lentigione di Brescello, che comporteranno – per ragioni di sicurezza – l’istituzione di sensi unici alternati durante le attività di cantiere e del limite di velocità a 30 km all’ora.
L’intervento, che dovrebbe concludersi in circa 5 mesi, ha un costo di 330.000 euro ed è finalizzato a mettere in sicurezza un incrocio particolarmente trafficato non solo perché coinvolge la via d’accesso alla frazione di Lentigione, ma anche per la presenza di due importanti aziende – Immergas Spa e Bergo Srl/Themic Srl – che contano rispettivamente circa 600 e una sessantina di addetti.
Il forte flusso di traffico, particolarmente concentrato in alcuni orari della giornata, abbinato alla elevata velocità di percorrenza delle Sp 62 R da parte dei troppi automobilisti che non rispettano il limite di velocità a 50 km/ora, rende dunque l’incrocio particolarmente pericoloso, anche per i pedoni come il personale delle due aziende ed i residenti che devono accedere alle fermate dei mezzi di trasporto pubblici (ferrovia e autobus di linea).

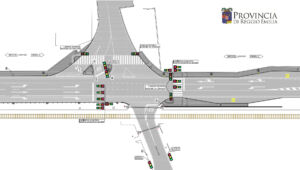
L’articolato intervento progettato dalla Provincia prevede dunque una razionalizzazione dell’incrocio con la creazione di 4 corsie sul lato nord di via Chiesa e di 3 corsie sul lato sud nonché la realizzazione di 2 stalli per autobus di linea fuori dalla carreggiata stradale e di attraversamenti pedonali a chiamata (4 semafori) al fine di aumentare il grado si sicurezza in questa modalità di utilizzo dell’incrocio. Sarà, inoltre, effettuata una manutenzione straordinaria dell’impianto semaforico, ormai vetusto, aggiornando le apparecchiature e la cartellonistica al fine di migliorarne efficienza e visibilità e, dunque, aumentando ulteriormente la sicurezza.







Ultimi commenti
Verissimo parole sante
Verissimo
Credo che sia l'opposto. la colonizzazione la vuole fare l'assessore Mahmoud